PARCELLE À VENDRE À AKASSATO
Annonce diffusée le 21 janvier 2026


A vendre à
60 000 000 F CFA
Commission: 10%
Type de bien
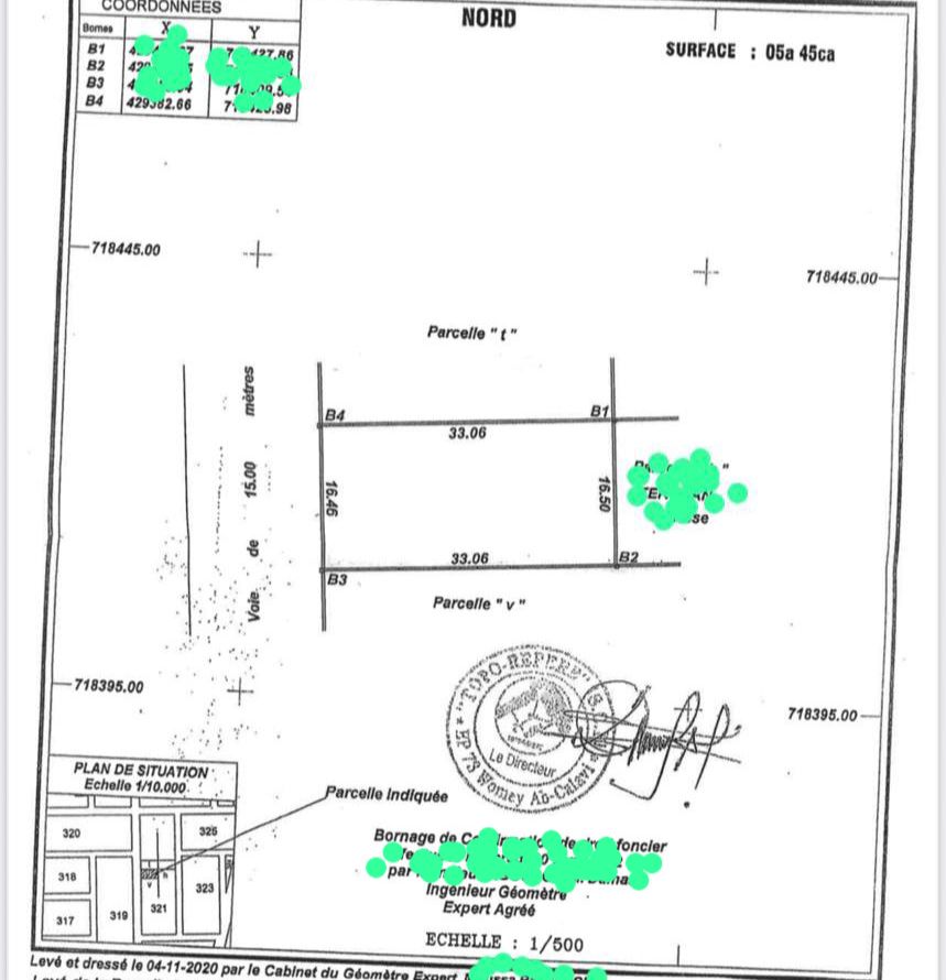
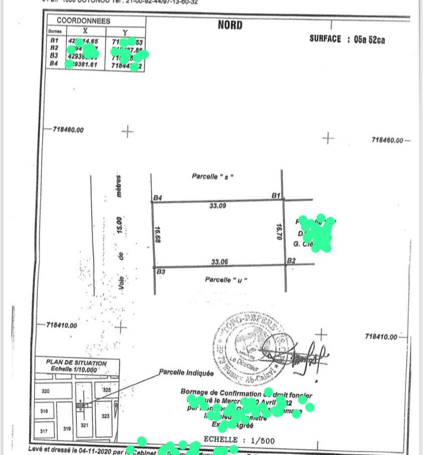
ParcelleSituée à Abomey calavi Akassato, dans une rue accessible, non loin du commissariat et du carrefour du goudron, deux parcelles clôturées ensemble de plus de mille mètres carrés, bien situées pour tout type de projets. Chaque parcelle dispose de son titre foncier
*Superficie : 1097 mètres carrés*
*Document: titre foncier*
*Prix: 60 millions un peu négociables*
Localisation
Pays
Bénin
Département
ATLANTIQUE
Ville
ABOMEY-CALAVI
Arrondissement
AKASSATO
Adresse
Non loin du goudron et du carrefour
Ces annonces pourraient vous intéresser
Appartement
*🏠 APPARTEMENT MEUBLE CLIMATISÉ D’UNE CHAMBRE SALON À LOUER...
25 000 F CFA / JourAKOGBATO, COTONOU, Bénin
A louer22Appartement
*APPARTEMENT MEUBLÉ DEUX ET TROIS CHAMBRES À LOUER À COTONOU...
45 000 F CFA / JourHOUEYIHO, COTONOU, Bénin
A louer10Appartement
*🏠 JOLI APPARTEMENT MEUBLÉ D’UNE CHAMBRE SALON CLIMATISÉ À L...
25 000 F CFA / JourAKOGBATO, COTONOU, Bénin
A louer21Appartement
